Risk-taking pilot takes stunning photos from inside ‘hurricane of the century’
A US aircraft flew across the eye of Hurricane Melissa as the storm passed through the coast of Jamaica.

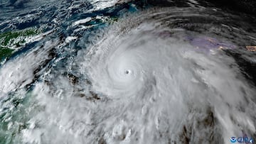
A National Oceanic and Atmospheric Administration (NOAA) reconnaissance aircraft has flown directly into the eye of Hurricane Melissa, taking incredible footage from inside the storm.
The monster Category 5 storm has been called “the hurricane of the century" by that meteorologists. The daring mission took place as Melissa barreled toward Jamaica’s coast, bringing winds of up to 185 mph.
According to the NOAA, the storm is among the strongest hurricanes ever recorded in the Atlantic.
To study the storm, NOAA’s “Hurricane Hunters” deployed a Lockheed WC-130 aircraft, a modified version of the C-130 Hercules designed to withstand extreme weather. The crew dropped scientific probes directly into the storm’s lowest pressure zones to collect real-time data on wind speed, temperature and pressure, crucial information for improving future forecasting models.
The infamous Hurricane Hunters just had one of the wildest flights in history today.
— Colin McCarthy (@US_Stormwatch) October 29, 2025
Flying straight into the heart of Category 5 Hurricane Melissa, a Lockheed Martin C-130J Hercules aircraft, call sign TEAL 75, was slammed by violent turbulence
The G-forces were so extreme… pic.twitter.com/n7PmgSBeTA
Stunning Footage from the Eye of the Hurricane
Video captured from inside the aircraft shows the plane battling through dense walls of rotating clouds before emerging into the hurricane’s eye, a surreal zone of calm surrounded by chaos. The footage reveals an eerie, open-sky center encircled by towering thunderclouds — a rare view even for veteran storm chasers.
This footage from inside the eye of Category 5 Hurricane Melissa might be the most jaw-dropping video ever captured of a hurricane’s eye, showcasing the infamous “stadium effect." pic.twitter.com/AEhj2g2Ban
— Colin McCarthy (@US_Stormwatch) October 27, 2025
Jamaica suffered a direct strike from Hurricane Melissa and early reports indicate catastrophic damage along parts of the coast. Local officials say the island has never before experienced a storm of this strength. Communication blackouts and power outages have made it difficult to fully assess the damage, but emergency crews are working to restore essential services.
The mission marks one of the most extreme operations in NOAA’s history, offering a rare, firsthand look inside a Category 5 hurricane. Scientists say the data gathered could help improve early-warning systems and storm prediction models, potentially saving lives in future disasters.
Beyond the science, Hurricane Melissa’s unprecedented intensity underscores the growing risks of climate-driven extreme weather. Meteorologists say the storm’s rapid intensification and destructive power highlight the urgent need for better forecasting, coastal defenses, and climate adaptation strategies across the Caribbean and the Gulf region.
Related stories
Get your game on! Whether you’re into NFL touchdowns, NBA buzzer-beaters, world-class soccer goals, or MLB home runs, our app has it all.
Dive into live coverage, expert insights, breaking news, exclusive videos, and more – plus, stay updated on the latest in current affairs and entertainment. Download now for all-access coverage, right at your fingertips – anytime, anywhere.





